Terrain constructible en Vente

€ 233 455
993 m²

Remarque

Annonce mise à jour le 15/01/2026
Description

This description has been translated automatically by Google Translate and may not be accurate

référence: 8887

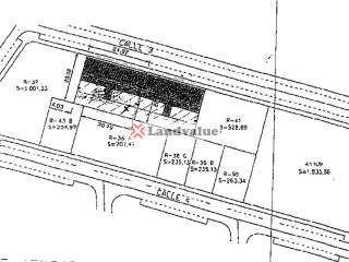
Terrain en vente à CEUTÍ de 993 m2

Parcela de uso multifamiliar con una superficie de 992,70 m2s y una edificabilidad de 2.799,24 m2c. Referencia Catastral: 1669409XH5116N0001LU y 1669408XH5116N0001PU. Realizada División Horizontal en Construcción.

Sobre dicha parcela se ha proyectado la construcción de un edificio de tres plantas sobre rasante destinada a 25 viviendas, y una bajo rasante destinada a garajes y trasteros

La distribución por plantas es la siguiente:

-Planta Sótano: destinada a 29 plazas de garaje y 11 trasteros
-Planta Baja : destinada a 7 viviendas ( 3 en escalera A y 4 en escalera B)
-Planta 1º: destinada a 8 viviendas (4 por escalera)
-Planta 2º : destinada a 10 viviendas (5 por escalera).
-Planta Cubierta : destinada a 14 trasteros, marcados del 13 al 25.

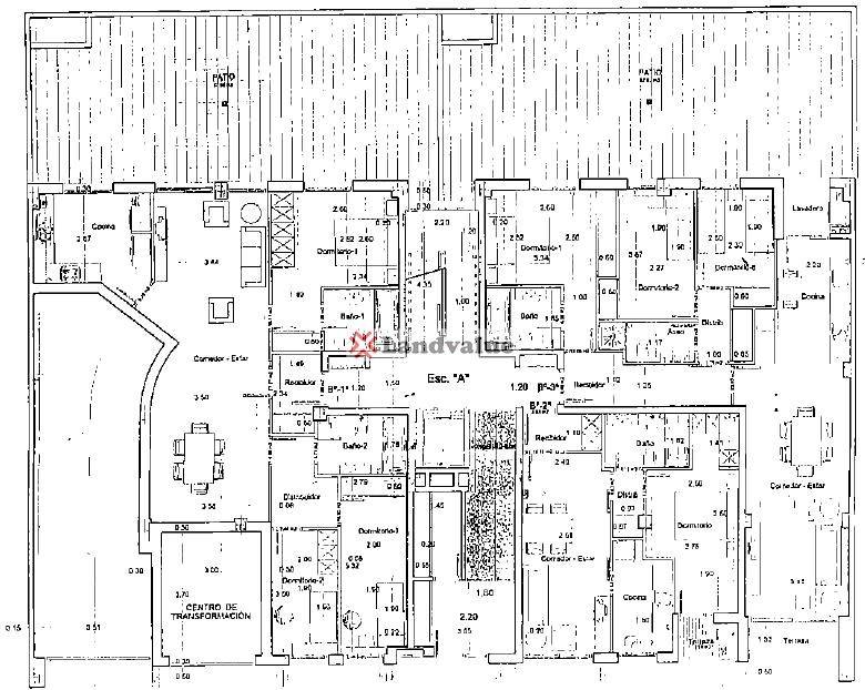
El programa tipo de vivienda se estructura con la disposición de vestíbulo, distribuidor, cocina, salón comedor, aseo, baño y dos-tres dormitorios, además de terraza exterior.
Caractéristiques
Transaction
Vente
Typologie
Terrain constructible
Superficie
993 m²
Disponibilité
Libre
Informations sur les prix
Prix
€ 233 455
Prix au m²
235 €/m²
Découvrez chaque recoin de la propriété
+9
Options additionnelles

Contacter l'annonceur

Ou