Terreno rústico en Venta

€ 6.300
186 m²

Nota

Anuncio actualizado el 19/01/2026
Descripción

referencia: VEH 7231330

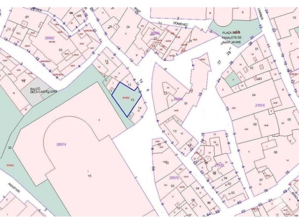
Magnífica parcela con una superficie aproximada de 186 m², cuyo edificio ha sido demolido. Se ubica en el municipio de Lérida.

Según nota registral la vivienda 3º 1, de la calle Palma nº 3 tenía una superficie aproximada de 80 m². Actualmente el edificio ha sido demolido, quedando una parcela en suelo urbano con una superficie aproximada de 186 m². La posible promoción a realizar en la parcela estaría compuesta por un edificio plurifamiliar entre medianeras de planta baja y cuatro alturas, con fachada a la calle de la Palma. Se considera, dada la superficie y forma del solar, distribuir el edificio en seis viviendas. En la planta baja, se considera una plaza de aparcamiento por vivienda y el acceso a la escalera comunitaria.

Se sitúa en una zona consolidada, rodeado de viviendas de similares características. En el entorno podemos encontrar todo tipo de servicios, tales como, sanitarios, educativos, restaurantes, supermercados, comercios, etc.

Dispone de buenas conexiones con la Red Nacional de Carreteras, Autovías y Autopistas.

Se vende únicamente el 15,68% de la parcela.

Los datos registrales corresponden a una de las fincas que formaban parte de la División Horizontal del edificio que había sobre el suelo previo a su demolición. Existe disparidad físico-jurídica.

Según nota registral la vivienda 3º 1, de la calle Palma nº 3 tenía una superficie aproximada de 80 m². Actualmente el edificio ha sido demolido, quedando una parcela en suelo urbano con una superficie aproximada de 186 m². La posible promoción a realizar en la parcela estaría compuesta por un edificio plurifamiliar entre medianeras de planta baja y cuatro alturas, con fachada a la calle de la Palma. Se considera, dada la superficie y forma del solar, distribuir el edificio en seis viviendas. En la planta baja, se considera una plaza de aparcamiento por vivienda y el acceso a la escalera comunitaria.

El precio no incluye IVA
Características
Contrato
Venta
Tipología
Terreno rústico
Superficie
186 m²
Información del precio
Precio
€ 6.300
Precio del m²
34 €/m²
Descubre otros ángulos del inmueble
+3
Opciones adicionales

Contactar con el anunciante

O